Győri Johanna

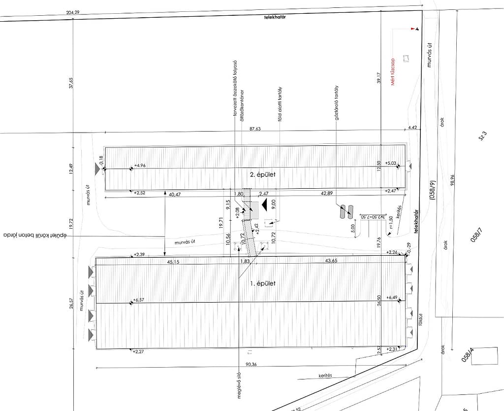
Mezőgazdasági üzem fejlesztése

Balatonkenese

Fejér Tervező és Mérnökiroda Kft.
2021
Engedélyezési terv, kiviteli terv - felelős építész tervező

Tojásüzem bővítésének felmérési-, engedélyezési- és kiviteli terveinek elkészítése a technológiának megfelelően.

Tojásüzem bővítésének felmérési-, engedélyezési- és kiviteli terveinek elkészítése a technológiának megfelelően.